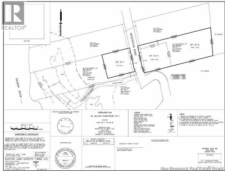
Discover an exceptional opportunity with this remarkable 7.4-acre waterfront property located along the scenic Salmon River, offering a rare combination of natural beauty,recreational appeal,and investment potential. Already subdivided into four individual parcels, this versatile property invites a wide range of possibilities whether you're envisioning a private seasonal retreat, developing camper trailer sites, building vacation rental cottages, or holding as a long-term asset in a growing recreational region.Boasting approximately 235 feet of direct river frontage, the setting is ideal for those seeking peace,privacy,and year-round outdoor enjoyment. From your own shoreline, launch a boat and reach Grand Lake in minutes,unlocking access to New Brunswicks largest freshwater playground for boating, fishing, and watersports.The surrounding area is a paradise for nature lovers and adventure seekers alike,with excellent opportunities for fishing,hunting,snowmobiling,and ATVing just beyond your doorstep. Ideally located only five minutes from the village of Chipman for groceries, fuel, and daily essentials, and within easy driving distance to major centres just one hour from Fredericton and 1.5 hours from Moncton this property combines seclusion with convenience. Properties of this size, with direct river access,recreational amenities,and future development flexibility, are increasingly hard to find. Dont miss your chance to own a truly unique slice of New Brunswicks outdoors. (id:19018)
MLS® Number | NB126361 |
Property Type | Vacant Land |
Structure | None |
Utility Water | None |
Access Type | Year-round Access |
Acreage | Yes |
Sewer | No Sewage System |
Size Irregular | 7.4 |
Size Total | 7.4 Ac |
Size Total Text | 7.4 Ac |
Soil Type | Unknown |
https://www.realtor.ca/real-estate/28840817/lot-wegesegum-road-chipman
Contact us for more information