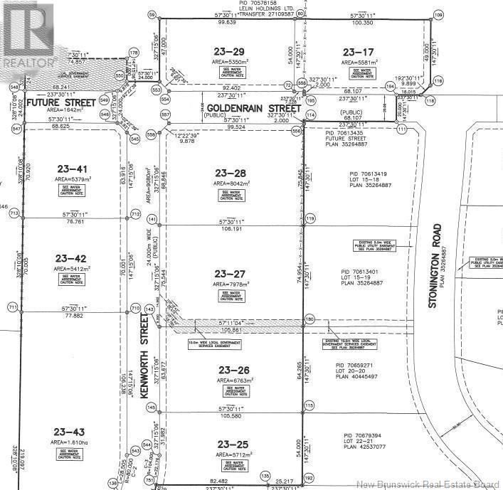
This captivating country building lot boasts stunning sunset panoramas and serene mountain vistas. Situated within the esteemed Red Sunset Estates Subdivision, just a short distance from the city in the peaceful Lutes Mountain/Stilesville area, it offers an outdoor sanctuary. Enjoy access to nearby snowmobile trails, cross-country skiing paths, biking routes, and more, all amidst this tranquil countryside setting. Whether you opt for a custom-built home from quality builders or choose to embark on your own construction journey, the possibilities are endless. Note that the price excludes HST, and covenants are firmly established to maintain the integrity of this subdivision. Don't let this opportunity slip awaystart building your dream home today. Call for more info (id:19018)
MLS® Number | NB123963 |
Property Type | Vacant Land |
Features | Other |
Structure | None |
Utility Water | None |
Access Type | Year-round Access |
Acreage | Yes |
Sewer | No Sewage System |
Size Irregular | 1.34 |
Size Total | 1.34 Ac |
Size Total Text | 1.34 Ac |
https://www.realtor.ca/real-estate/28668532/lot-23-42-kenworth-street-stilesville
Contact us for more information